MM-BS-1
TYPICAL BUS STOP LOCATIONLatest Revision Note
XX/XX/20XX NEW STANDARD DRAWING
Related Standard Drawings
| DRAWING | DESCRIPTION | REMARKS |
|---|---|---|
Related Item Numbers
| ITEM | U/M | DESCRIPTION | REMARKS |
|---|---|---|---|
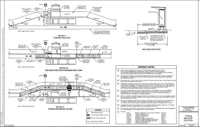
| 303-01 | TON | MINERAL AGGREGATE, TYPE A BASE, GRADING D | |
| 716-80.01 | EACH | PROTECTIVE BOLLARDS | |
| 716-04.21 | S.Y. | GREEN TEXTURED BIKE LANE | |
| 716-04.12 | S.F. | PLASTIC PAVEMENT MARKING (YIELD LINE) | |
| 716-02.03 | L.F. | PLASTIC PAVEMENT MARKING (CROSS-WALK) | |
| 713-15.40 | LS | SIGN INSTALLATION (DESCRIPTION) | |
| 702-01 | C.Y. | CONCRETE CURB | |
| 701-02.03 | S.F. | CONCRETE CURB RAMP | |
| 701-01.02 | S.F. | CONCRETE SIDEWALK (6") | |
| 701-01-01 | S.F. | CONCRETE SIDEWALK (4") |
Archived Standard Drawings
| DATES OF EACH ARCHIVED DRAWINGS ( THE INITIAL STANDARD DRAWING IS BOLD ) |
|---|
| 01-06-2024| |
If you find any mistakes, missing information or have a question, contact:
TDOT CADD Support
1200 James K. Polk Building
Nashville, TN 37243-1402
TDOT.CADDSupport@tn.gov
This Page Last Updated: July 12, 2024 at 11:37 AM
